LOADING

1102 Bealby Street Nelson, British Columbia V1L 3B4

Interested?

Contact us for more information


Generating Captcha

David Gentles
Personal Real Estate Corporation

(250) 354-8225
www.nelsonrealty.ca/

RE/MAX Four Seasons (Nelson)
106 - 402 Baker Street
Nelson, British Columbia V1L 4H8

(250) 352-7252
(250) 352-3973
www.realestateinthekootenays.ca/

Your Favourites

 

No Favourites Found

 

$599,900

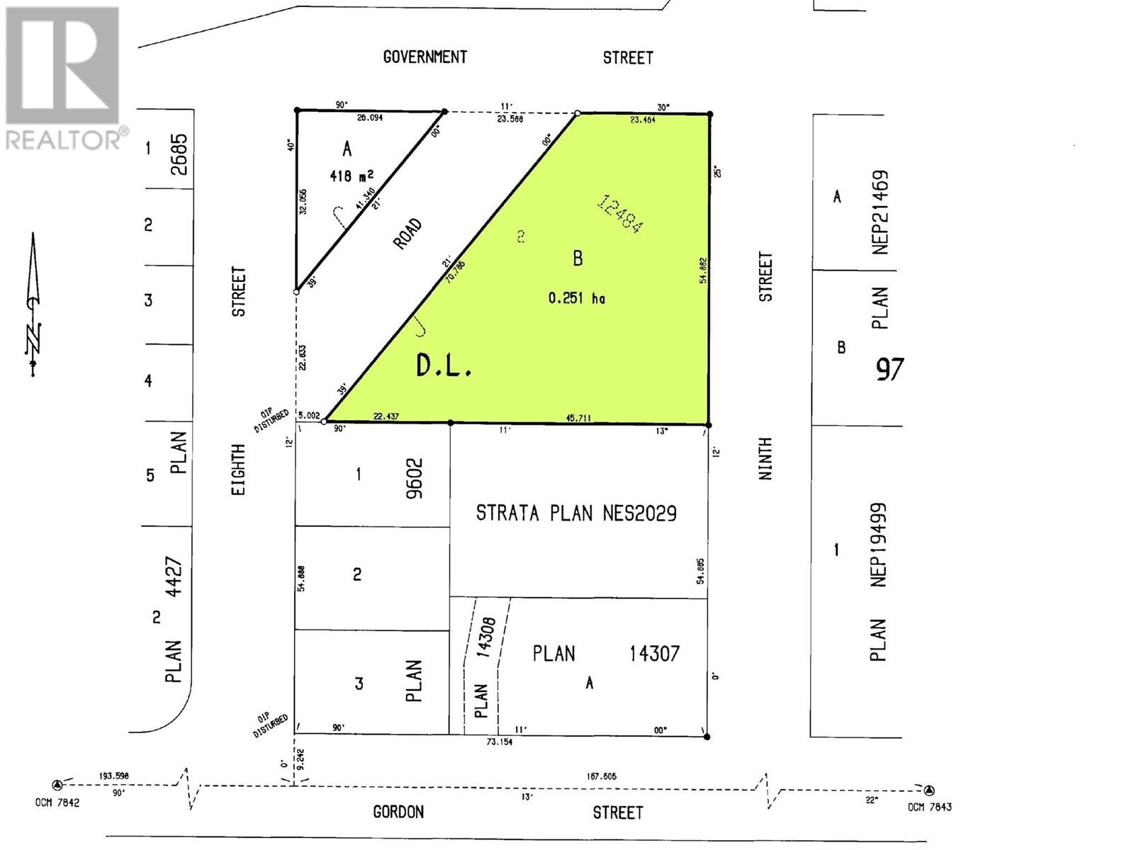
Developers pay attention to this 0.62 acre apartment friendly site with great views overlooking Kootenay Lake. This in an easily accessed corner lot in a great location that's below the snow line in winter and has low-slope arterial roads connecting it to downtown for an easy commute with the bike route nearby as well. Just blocks from the waterfront pathway and an easy walk past the local coffee shop on the way to Lakeside park. Short commute to Selkirk 10th Street campus, LVR or Hume Elementary. Great views of the West Arm of Kootenay Lake. GST is applicable over and above the asking price. Drone photos from various elevations are available to help you get an idea of what the view would be like at different floors. (id:26472)

Property Details

MLS® Number 10352205
Property Type Vacant Land
Neigbourhood Nelson
Road Type Paved Road

Building

Type Other
Utility Water Municipal Water

Land

Acreage No
Size Irregular 0.62
Size Total 0.62 Ac|under 1 Acre
Size Total Text 0.62 Ac|under 1 Acre

Utilities

Electricity Available
Natural Gas Available
Telephone Available
Sewer Available
Water Available

https://www.realtor.ca/real-estate/28470560/1102-bealby-street-nelson-nelson