Contact us for more information
Russell Armstrong
(250) 549-2103
(250) 549-2106
https://thebchomes.com/
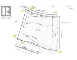
Picture perfect view of the Enderby Cliffs from this 0.48 acre building lot. This lot is located on the hillside and has panoramic views that will not be blocked by neighbours. Close to the Shuswap River & the beach at Tuey Beach. Snowmobiling at hunters range is 10 mins away in the winter and boating on Mara lake is less than 20 mins away in the summer. A 25 min drive from Vernon or 20 mins to Salmon Arm. Have your dream home built on this lot. The site has been prepped and is ready for you to build in a beautiful location. The City of Enderby is a great family community that provides you with some excellent restaurants, grocery stores, and shops while still close to everything you need in a hub for a recreation and fun. Call today to get things started on your new spot. (id:26472)
| MLS® Number | 10370677 |
| Property Type | Vacant Land |
| Neigbourhood | Enderby / Grindrod |
| Community Features | Pets Allowed, Rentals Allowed |
| Road Type | Paved Road |
| View Type | City View, Mountain View, Valley View, View (panoramic) |
| Type | Other |
| Utility Water | Municipal Water |
| Acreage | No |
| Size Irregular | 0.48 |
| Size Total | 0.48 Ac|under 1 Acre |
| Size Total Text | 0.48 Ac|under 1 Acre |
| Electricity | At Lot Line |
| Natural Gas | At Lot Line |
| Sewer | Available |
| Water | At Lot Line |
https://www.realtor.ca/real-estate/29164490/125-reservoir-road-enderby-enderby-grindrod