LOADING

River Stone Road Lot# Lot D Cherryville, British Columbia V0E 2G1

Interested?

Contact us for more information


Generating Captcha

Fred Maier

(250) 717-7316

Oakwyn Realty Okanagan
473 Bernard Avenue
Kelowna, British Columbia V1Y 6N8

(250) 861-5122
(250) 861-5722
www.realestatesage.ca/

Your Favourites

 

No Favourites Found

 

Waterfront On River Acreage Wooded Area

$785,000

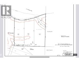
ONE THOUSAND Feet of River Front, 19.42 Acres, Natural Spring Water, Level-Cleared-Elevated Building Bench, Perfect for your Country Estate OR Subdivide into three River Front Lots, Park Like setting, Treed with Clearings, A dedicated 90 metre length MOTI Right Of Way provides direct access from Hwy 6 to the property frontage, making available High Speed Telus fibre optic Internet/ Cable/ Phone/ Electricity and yes Cell service is available, * Zoned Non Urban * OCP supports Country Residential (5 acre parcels / 3 lot subdivision), * Riparian Report Approved * Topographic work complete * Surveyors 3 Lot subdivision plan complete, The Big Work is Done - Requires Rezoning and Subdivision application - Not in ALR - Have the Best of Opportunities to choose from; YOUR COUNTRY ESTATE PROPERTY OR SUBDIVIDE INTO 3 LOTS * Live sustainable with endless fresh water and self sufficient potential, while staying connected to the world. Remote work, eco living and smart investing all come together on this one- of-a-kind parcel, *The Gateway To The Monashee offers many lakes close by; Sugar Lake, Mable Lake, Eco Lake, Whatshan Lake & Arrow Lake, *All supporting documents are available (id:26472)

Property Details

MLS® Number 10371454
Property Type Recreational
Neigbourhood Cherryville
Amenities Near By Golf Nearby
Features Cul-de-sac, Private Setting
Road Type Gravel Road, Paved Road, Cul De Sac
Water Front Type Waterfront On River

Building

Type Other
Utility Water Spring

Land

Access Type Easy Access, Highway Access
Acreage Yes
Land Amenities Golf Nearby
Landscape Features Wooded Area
Size Irregular 19.42
Size Total 19.42 Ac|10 - 50 Acres
Size Total Text 19.42 Ac|10 - 50 Acres

Utilities

Cable Available
Electricity Available
Telephone Available
Water Available

https://www.realtor.ca/real-estate/29201280/river-stone-road-lot-lot-d-cherryville-cherryville